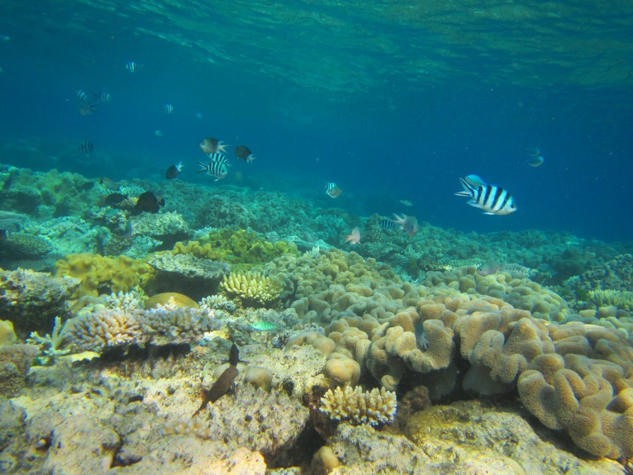
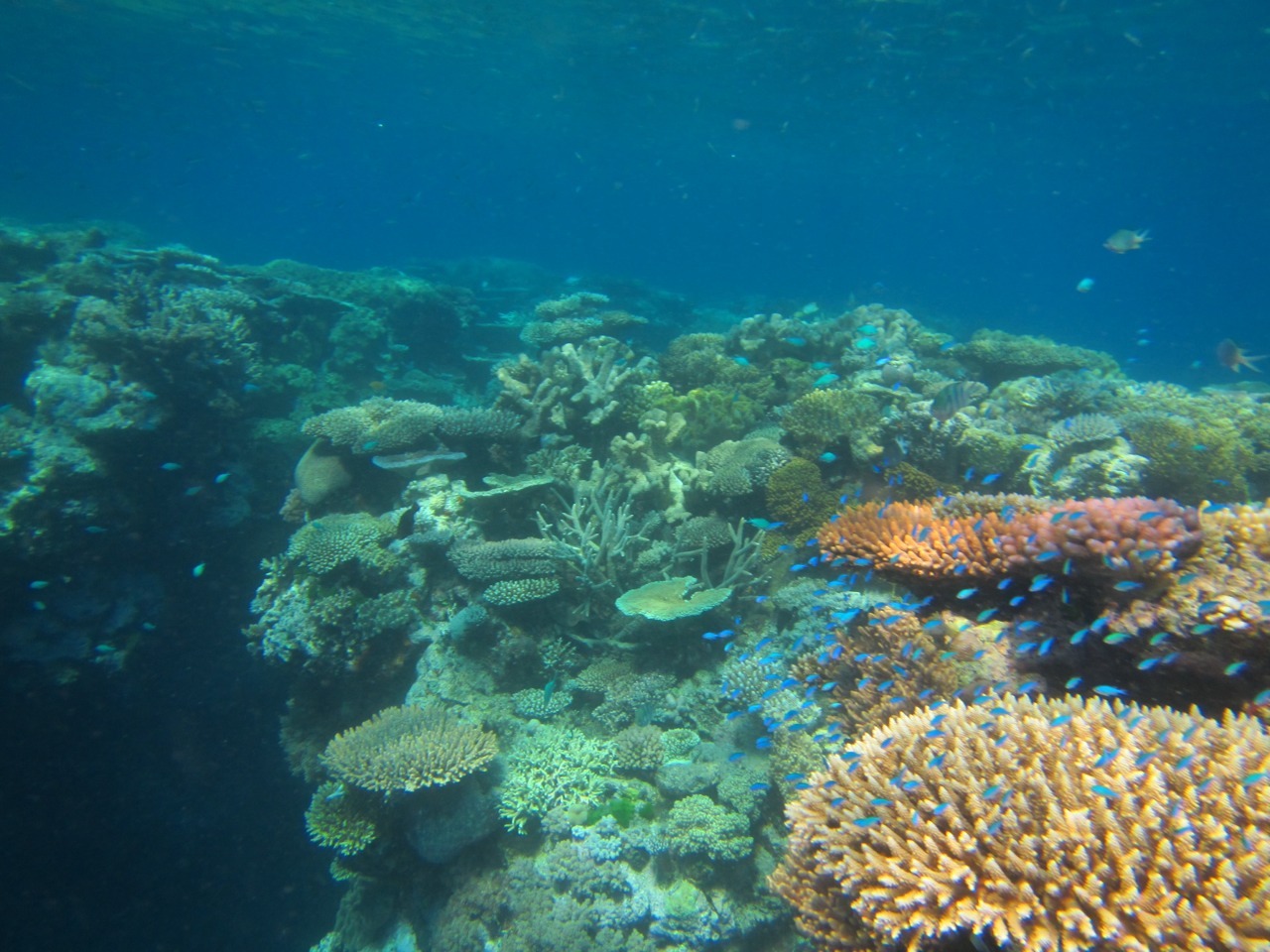
Some shallow-water pictures from an afternoon dive on Flynn Reef.
The wildlife includes damselfish, giant clams, clownfish and all sorts of crazy corals.
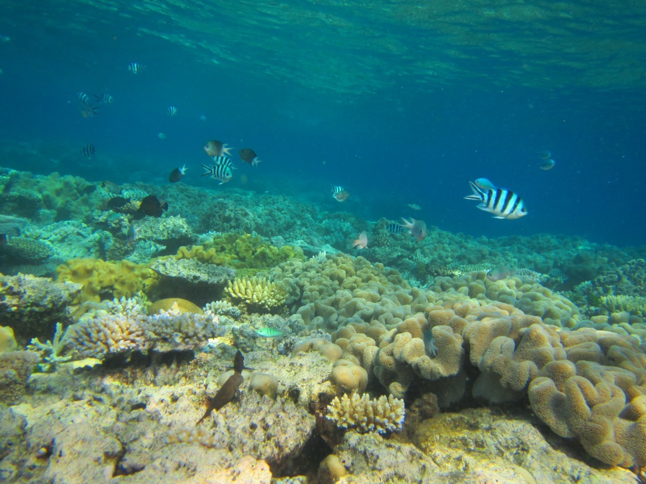
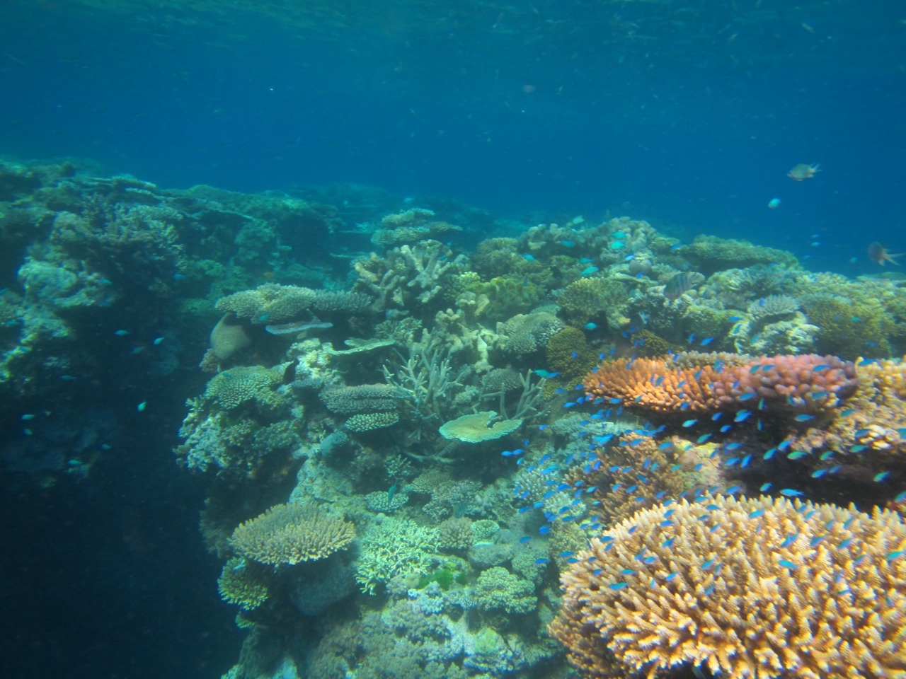
Some shallow-water pictures from an afternoon dive on Flynn Reef.
The wildlife includes damselfish, giant clams, clownfish and all sorts of crazy corals.