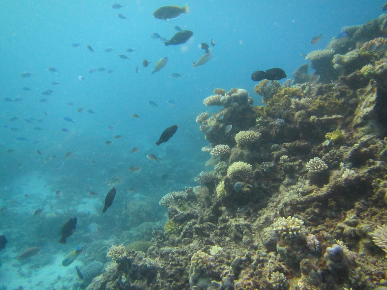
A 6:30 am dive — probably the best time to be out, as the reef is really bustling. You see larger schools of fish than you tend to see later in the day, like the lump-headed parrotfish looming together at the surface in the top left shot.
Also noticeably energetic was a triggerfish (colourful one in the photo middle left, cuddling up to the rocks) which decided to take a bite or two at Susan’s fins as we went by.






